Initiative:

Logo Stadt Treffurt

Sanierungsträgerin:

Logo Projektstadt. Eine Marke der Unternehmensgruppe Nassauische Heimstätte / Wohnstadt

Tellhof, Baugrundstück

Adresse

Tellhof
99830 Treffurt

Status

verfügbar

Zum Kontaktformular

Tellhof, Großburschla, ProjektStadt
Tellhof, Großburschla, ProjektStadt
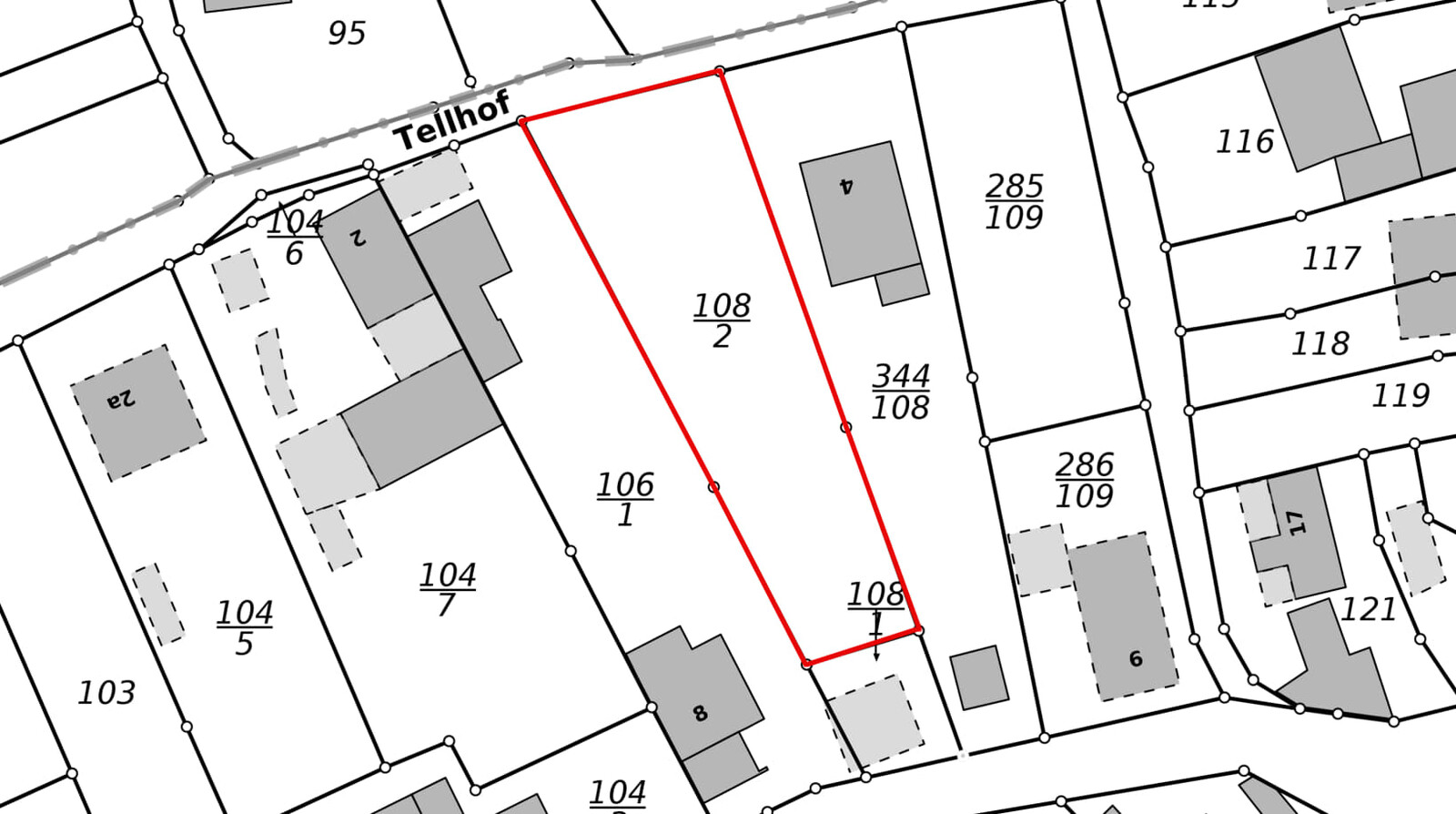
Tellhof, Großburschla, Flurkartenauszug, ALKIS
Tellhof, Großburschla, Flurkartenauszug, ALKIS

Freies Baugrundstück, bestehend aus dem Flurstück 108/2.

Grundstücksfläche: ca. 870 m²


Kontakt

Wenn Sie Fragen haben oder weiterführende Informationen zu diesem Objekt möchten, setzen Sie sich bitte mit uns in Verbindung!

Bitte beachten Sie vor dem Ausfüllen des Formulars unsere Datenschutzerklärung.

Alle Felder müssen ausgefüllt werden.

Diese Seite teilen